Back in 1920 when Rhode Island ratified the Nineteenth Amendment, the Providence Journal named Mary Ballou (of Providence and the Bristol Ferry neighborhood of Portsmouth) as a “Rhode Island Suffrage Pioneer.”  The newspaper quotes her as saying, “I am glad to have lived to see this day.”  Indeed, Mary had been fighting for suffrage since she joined the Rhode Island Woman’s Suffrage Association in 1868.  When Rhode Island passed a Presidential Suffrage Bill in 1917 which allowed Rhode Island women to vote in the presidential election, she was interviewed by the Journal and was asked to express her thoughts.  “It marks the beginning of the end of what has been for me a long and often hopeless appearing fight.  I have worked for suffrage for almost fifty years and when I celebrate by 80th birthday next week I will have a real cause for celebration.  I hardly expected to live long enough to see old hide-bound Rhode Island take its place at the head of the processional of progress in the East.”  (ProJo 4/18/1917)

Mary belonged to the Bristol Ferry group of suffragists who became a “nerve center” of the Rhode Island suffrage movement. Its members were a diverse group of women.  What was Mary’s background?  What roles did she play in the suffrage movement?  Did she continue her activism after voting rights were passed?

Mary Rathbone Kelly Ballou was born in 1837 in Blackstone, Massachusetts.  Her father was a successful factory owner.  On her mother’s side she descended from Rhode Island’s Hazard family.  Her grandmother, Alice Peckham Ballou, was a Quaker minister.  Mary was raised as a Quaker and attended what is now Moses Brown School in Providence where her grandfather was principal. After graduation, Mary became a teacher.

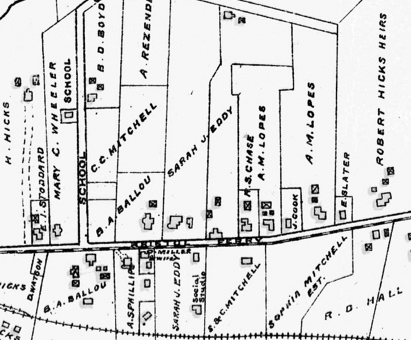
In 1867 Mary became the wife of Barton A. Ballou who was a leader in the Providence jewelry industry.  Mary’s husband was active in the Providence community.  He was a trustee of James Eddy’s Bell Street Chapel.  Eddy was Sarah Eddy’s father and I suppose Mary and Sarah Eddy would have known each other from those early days in Providence.  Mary and Barton raised three children, Frederick, Charles (Rathbone) and Alice.  Even as a newlywed and young mother, Mary was active in the Rhode Island Woman Suffrage Association (RIWSA).  She served as Treasurer and Vice President of the RIWSA and she carried over her interest in suffrage to her summer home on Bristol Ferry Road in Portsmouth.   She hosted weekly meetings with friends and neighbors Cora Mitchel, Emeline Eldredge, Sarah Eddy and others.

Mary Ballou and Sarah Eddy were listed as part of the Rhode Island executive committee of the New England Woman’s Suffrage Association in 1909.  Julia Ward Howe, another summer Portsmouth resident, was elected as the President of the Association at their Boston meeting.  Mary would host combined meetings of the Providence and Newport County Woman’s Suffrage League.

The Ballous had extensive properties on Bristol Ferry Road.  Portsmouth became their summer home around 1900 and that was about the same time that Sarah Eddy came to make Portsmouth her home as well. Newspaper accounts say that John Manchester built their home in 1900, just as he built Sarah Eddy’s home and the Social Studio.   Sarah and the Ballous were next door neighbors.  The Ballous often hosted events jointly with Sarah, especially the yearly outing for the residents of a home for elderly black men and women in Providence.

Barton Ballou was a very successful man, and his home in Portsmouth reflected his wealth.  In 1902 the family had a tennis court laid out on their property.   The Fall River News in 1900 reports that he “has a handsome locomotive, fitted with two one-horse power engines of the marine pattern.”  A Fall River Evening Journal article (6/14/1914) describes how Ballou and his automobile would come to the rescue when a fire breaks out in the caretaker’s cottage of the Eddy estate.  Ballou drove the power station engineer and fire extinguishers to the site of the fire.  The extinguishers help to put out fires on Sarah’s roof that had been started by burning embers.

The Ballous continued to add to their property on Bristol Ferry Road.  The Ballous and Sarah Eddy were sold property held by Suffrage Leader Cora Mitchel and her family.

The Ballous even bought Julia Ward Howe’s home on Union Street – Oak Glen.  In July of 1931 Oak Glen, the home of Charles (aka Rathbone) Ballou, hosted a public meeting of the Rhode Island League of Women Voters.  Two of Mary’s children, Charles Rathbone Ballou and Dr. Alice Ballou Eliot, organized the event.  They followed in the footsteps of their mother.  Two years after the passage of RI Presidential Voting rights for women, the National American Woman Suffrage Organization was transformed into the League of Women Voters.  Its aim was to support the new voting rights and  expand the role of women in the political sphere.  Mary Ballou’s activism was carried over to this organization in 1919 when the Rhode Island division got its charter.  In 1930 the Rhode Island League of Women Voters recognized Mary on the National Honor Role of the League of Women Voters.  Mary died in 1926, but her efforts to win rights for women was still recognized.